imobiliare .net
Login
Inregistrare
Anunt
Tur 360
Alerte
Favorite
Mesagerie
Favorit
Sesizeaza neregula
An constructie
1928
Suprafata
450 m2
Suprafata teren
300 m2
Tip casa
Individuala
Stare constructie
Bloc cu bulina
Interior
Necesita renovare
Nr. bai
4
ID
1268675

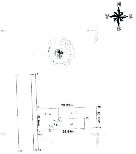
Aviatorilor, proprietate constituita din 450 mp utili edificata pe un teren de 300 mpImobilul se afla la doar 100 m de intrarea in Parcul Herastrau din Piata Charles de GaulleSunt trei corpuri de cladire, insiruite.Corpul de la strada are Demisol, Hoch Parter si Mansarda.Corpul median are doar Parter, iar cel din spate are Demisol, Parte si Etaj. Corpurile de la strada si din mijloc necesita renovare. Cel din spate este complet restructurat in 2002.


  • Asfalt
  • Gaze
  • Canalizare
  • Electricitate


Pozitia pe harta